0 Lewis Avenue, El Granada, CA 94018

Offered at $625,000

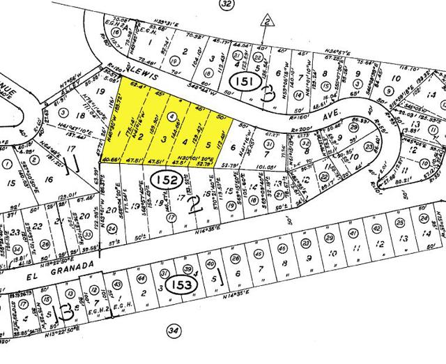
Exceptional Development Opportunity in El Granada Highlands! Seize the rare chance to own an oversized 34,800± sqft lot, complete with one CCWD (Coastside County Water District) water connection included. Nestled in the highly desirable El Granada Highlands on the San Mateo County Coastside, this expansive property offers a serene setting surrounded by beautiful, high-end homes. Buyers are encouraged to explore possibilities for road extension, lot subdivision, and buildability directly with the San Mateo County Planning and Building Division. Enjoy a superb coastal lifestyle with easy access to the beach, the scenic Coastal Trail, and the vibrant Pillar Point Harbor, featuring boutique shopping, fresh seafood markets, and a variety of acclaimed restaurants. Convenient proximity to Highway 1 ensures smooth commutes throughout the Bay Area. Don't miss this rare opportunity on the Coastside! The lot is located a few lots past 138 Lewis Ave.